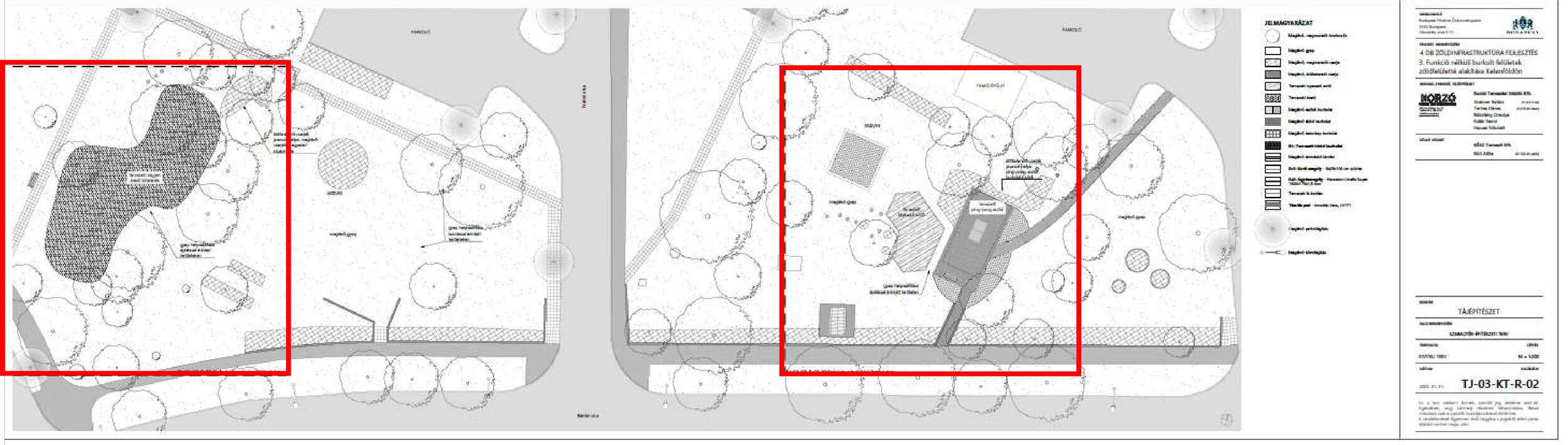
A
fejlesztés keretében az aszfaltos területek helyén évelők ültetése,
Miyawaki-erdő telepítése és padok kihelyezése valósul meg. A végleges
tervek szabadtérépítészeti, növénykiültetési
tervlapjait és a műszaki leírást ide kattintva lehet megismerni. A
kivitelezési munka a közbeszerzési eljárás követően 2026 folyamán
kezdődik el.
HASZNÁLD TE IS A KOZOSSEGITERVEZES.HU-T!
Kapcsolat: info@urbandialog.hu - Adatkezelési tájékoztató
Kapcsolat: info@urbandialog.hu - Adatkezelési tájékoztató
Urban Dialog Kft. - Minden jog fenntartva